ID CP2530060
Teren Intravilan Matei Milo
Această proprietate nu mai este activă,
te invităm să vizualizezi proprietăți similare
ID CP2530060
450,212 € (negociabil)
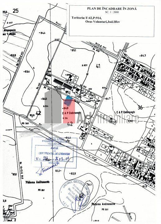
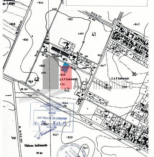
Teren Intravilan construibil de vanzare in Voluntari - Pipera, la numai 196 e/mp reper Padurea Andronache, avand o suprafata de 2297 mp si deschiderea de 40 ml la 1 strada. Caracteristici teren POT 50% % , CUT 2.2 , Regim de inaltime s+p+1+m, amprenta maxima 1146 mp. Pretul este negociabil .
Utilitati canalizarea la 40 m Curent la limita proprietatii